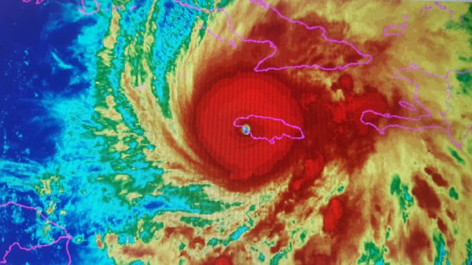
Ураган Мелисса, самый сильный в истории Ямайки шторм, обрушился на побережье во вторник днем. Ожидается, что, достигнув шторма 5 категории, «Мелисса» пересечет границу островного государства, войдя в район прихода Сент-Элизабет на юге и покинув район прихода Сент-Энн на севере.
Затем шторм направится в сторону Кубы.
— Как на американских горках с завязанными глазами — Мэтью Капучи, старший метеоролог из Орландо, рассказал телеканалу CTV News Channel о том, каково было лететь в глазу урагана в воскресенье вечером вместе с сотрудником Национального управления океанических и атмосферных исследований США (NOAA).
— Пока не попадёшь в глаз, мало что можно увидеть, — сказал он в интервью во вторник. — Учитывайте, что охотники за ураганами летают со скоростью около 450 км/ч, поэтому пересечение большей части урагана, по крайней мере одной его стороны, занимает около 10–15 минут. Всё это время оно было похоже на катание на американских горках с завязанными глазами. Вверх, вниз, влево, вправо… ничего не было видно.
Он говорит, что, как только он “вышел из глаза”, всё внезапно стихло, и он увидел «мерцающие наверху» звёзды.
Капучи добавляет, что, учитывая силу урагана, ландшафт Ямайки, скорее всего, изменится на несколько поколений из-за выкорчеванной растительности.
Ожидается, что ураган окажет косвенное воздействие на Восточную Канаду в конце этой недели.
Прогнозируется, что ураган «Мелисса» на этой неделе будет двигаться вдали от берега, но, по данным Канадского центра по наблюдению за ураганами, он по-прежнему будет способствовать возникновению непогоды в Восточной Канаде.
Метеоролог Боб Робишо сообщает, что в пятницу область низкого давления достигнет северо-востока США, принеся с собой влажный тропический воздух Мелиссы.
В результате этого в Приморских провинциях и в некоторых районах Онтарио и Квебека ожидаются сильные ветры и дожди.
В то время как в субботу «Мелисса», вероятно, направится к Гранд-Бэнкс у восточного Ньюфаундленда, ожидается, что область низкого давления продолжит приносить с собой ветреную и дождливую погоду.
Фото: CTV News













